Home   |   2015 Sale   |   Ranchers & Breeders   | Reference Sires   |   Sale Summary   |   Sale Day Information

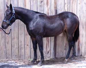
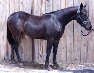
HR CATTS MERADA AQHA #5630511
Brown Mare April 4, 2014
H Ranch  

SIRE side of pedigree HIGH BROW CAT
SOPHISTICATED CATT
SHANIA CEE
CATTS BACK IN BLACK
DOC O'LENA
LENA O LADY
SAN PEPPY LAD

DAM side of pedigree FRECKLES MERADA
MASTER MERADA
KINGS MASTERPIECE
HR MERADA GIN
TANQUERY GIN
GINNIN ON
MOLLY BRACKET

Lot# 47

Good headed brown filly with roan hairs in her flanks and tail head. She has lots of action and will be ready to go in any direction. AQHA Ranching Heritage and 2017 HPRBA Futurity Eligible.

 

 


High Plains Ranchers & Breeders Association - email- 806 235-3776 - fax 806 635-5010